- 您的位置:
- 标准下载网 >>
- 标准分类 >>
- 国家标准(GB) >>
- GB/T 14020-1992 氢化松香
标准号:
GB/T 14020-1992
标准名称:
氢化松香
标准类别:
国家标准(GB)
标准状态:
已作废-
发布日期:
1992-01-02 -
实施日期:
1993-07-01 -
作废日期:
2006-12-01 出版语种:
简体中文下载格式:
.rar.pdf下载大小:
266.35 KB
替代情况:
被GB/T 14020-2006代替
点击下载
标准简介:
标准下载解压密码:www.bzxz.net
本标准规定了氢化松香的技术要求、试验方法和检验规则。本标准适用于以脂松香为原料,在一定温度和压力下经催化剂作用,使松香内树脂酸的双键部分地被氢饱和而制得的氢化松香。 GB/T 14020-1992 氢化松香 GB/T14020-1992
部分标准内容:
中华人民共和国国家标准
主题内容与适用范围此内容来自标准下载网
Hydrogenated rosin
本标准规定了氢化松香的技术要求、试验方法和检验规则。GB/T 14020--92
本标准适用于以脂松香为原料,在一定温度和压力下经催化剂作用,使松香内树脂酸的双部分地被氢饱和而制得的氢化松香。
氢化松香主要化学成分是二氢树脂酸,分子式为:C2oH32O2。2引用标准
GB601化学试剂
3技术要求
3.1性状
滴定分析(容量分析)用标准溶液的制备氢化松香是一种无定形的透明固体树脂。3.2项目和指标
项目和指标见表1。
玻璃色块比色
不深于罗维邦色号
酸值,mgKOH/g
软化点(环球法),℃
乙醇不溶物,%
不皂化物,%
国家技术监督局1992-12-28批准黄
示准造零
符合松香色级玻璃标准色块的要求20
1993-07-01实施
枞酸,%
去氢枞酸,%
氧吸收量\,%
注:1)根据用户需要选测。
4试验方法
GB/T 14020--92
续表1
试验中除特殊规定外,所用试剂为分析纯。4.1颜色的测定
4.1.1玻璃色块比色
4.1.1.1仪器
4.1.1.1.1松香色级玻璃标准色块。指
4.1.1.1.2目测比色盒:外形尺寸l×bXh,380mm×220mm×150mm。二级
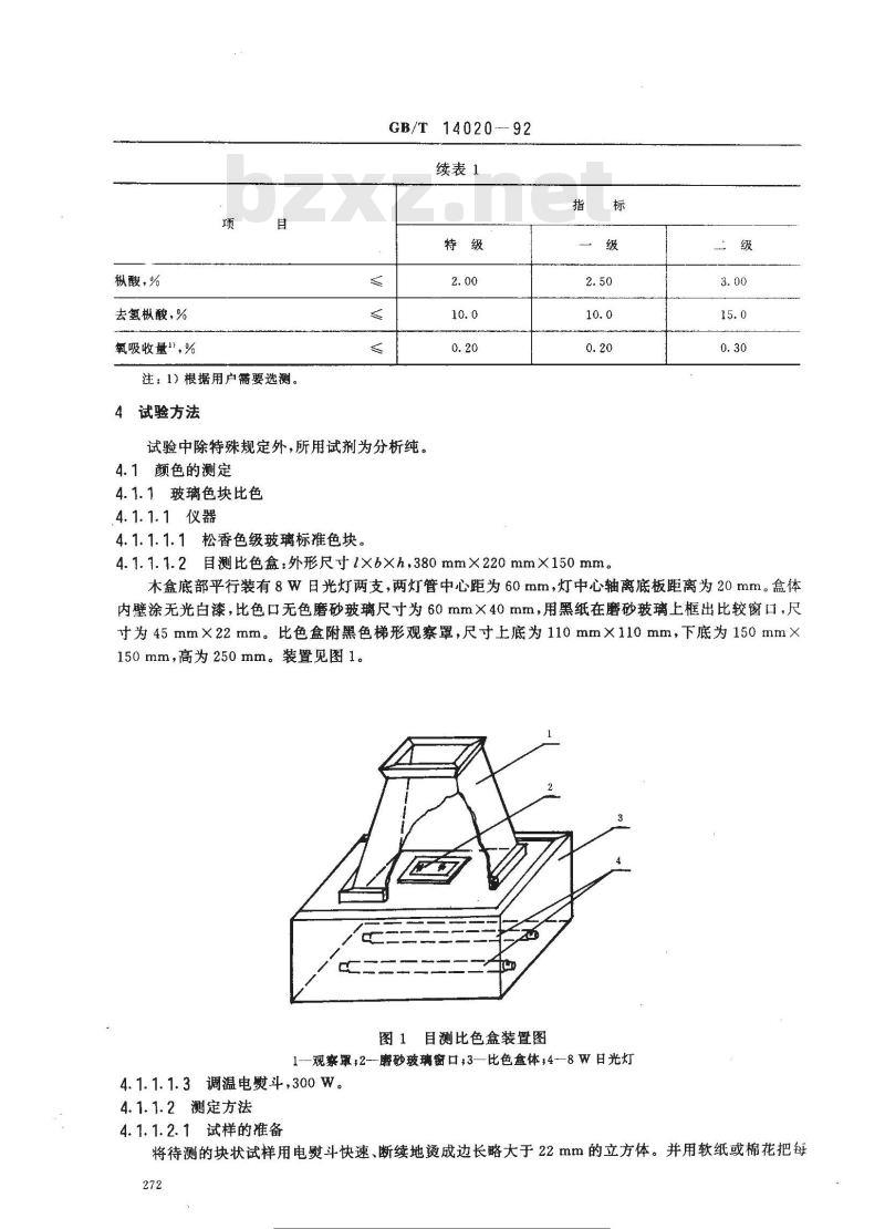
木盒底部平行装有8W日光灯两支,两灯管中心距为60mm,灯中心轴离底板距离为20mm。盒体内壁涂无光白漆,比色口无色磨砂玻璃尺寸为60mm×40mm,用黑纸在磨砂玻璃上框出比较窗口,尺寸为45mm×22mm。比色盒附黑色梯形观察罩,尺寸上底为110mm×110mm,下底为150mm×150mm,高为250mm。装置见图1。图1目测比色盒装置图
1-—观察罩;2-—磨砂玻璃窗口*3——比色盒体,4—8W日光灯4.1.1.1.3调温电熨斗,300W。
4.1.1.2测定方法
4.1.1.2.1试样的准备
将待测的块状试样用电熨斗快速、断续地烫成边长略大于22mm的立方体。并用软纸或棉花把每272
标准搜电
GB/T 14020-92
次烫后产生的熔化试样擦净。最后用来比色的一对工作面应是光滑而平行的平面,其厚度为22mm。4.1.1.2.2定级
氢化松香颜色的等级用目视比较法将试样与松香色级玻璃标准色块进行直接比较后确定。其方法是将试样与标准块紧靠,在北方天空散射光或比色盒内白色散射光照射下同时进行比较。当出现有下列情况之,即可视为深于玻璃标准色块。a.颜色红于标准色块;
b.颜色彩度大于标准色块;
c.明度小于标准色块。
氢化松香试样比色后的颜色等级,应以浅于或等于该级玻璃标准色块来确定。4.1.2罗维邦比色
4.1.2.1仪器
罗维邦色调计。
4.1.2.2测定方法
4.1.2.2.1试样的准备
同4.1.1.2.1。
4.1.2.2.2定级
将试样放入罗维邦色调计的试样槽座上,先把色调计的黄色号调到试样标准的数值上作为基色,然后用红色色号调到相当于试样的颜色,读取的黄色和红色色号数小于或等于表1所规定的色号,则符合该级颜色的规定。
4.2酸值的测定
4.2.1试剂和溶液
4.2.1.1中性乙醇:在95%乙醇(GB679)中加入酚酥指示剂(每100mL加两滴),用氢氧化钾溶液滴定到微红色30s不褪为止。
4.2.1.20.5mo1/L氢氧化钾标准溶液:称取33g氢氧化钾(GB2306)溶于少量不含二氧化碳的蒸馏水中,再加入此蒸馏水,稀释至1000mL,摇勾。以邻苯二甲酸氢钾(GB1257)为基准,参照GB601中氢氧化钠标准溶液标定方法进行标定,准确至±0.001 mol/L。
4.2.1.31%酚酞指示剂:称取1.0g酚酸(HGB3039)溶于乙醇,并用乙醇稀释至100mL。4.2.2测定方法
称取除去外表部分并粉碎好的试样约2g(准确至0.001g)于250mL锥形瓶中,加中性乙醇50mL溶解(必要时可微微加热,使试样全部溶解后放冷),加酚酞指示剂5滴,然后用0.5mol/L氢氧化钾标准溶液滴定到微红色30s不褪为止。4.2.3结果的表示和计算
按式(1)计算酸值X,(mgKOH/g):X, = V×c× 56. 11
式中:V--滴定时消耗氢氧化钾乙醇标准溶液的体积,mL;c氢氧化钾乙醇标准溶液的摩尔浓度,mol/L;m—试样的质量·g;
56.11—--1mol/L氢氧化钾的1mL的相当量,mg。4.2.4重复性
两次平行试验结果允许相差0.5,以算术平均值表示,报告至小数点后第一位。4.3软化点的测定(环球法)
我活装
(1)
4.3.1仪器
GB/T14020—92
4.3.1.1软化点测定器:装置如图2,主要零件如图3。10
图2软化点测定器
1-温度计,2—钢球定位器;3—环:4—平板;5—定距管,6—环架板;7-钢球;8-—烧杯;9—水面刻度线?10-搅拌器274
+20 .6 ± 0. 1
417 .5 ± 0. 1
15 .88 ± 0.
419 ± 0. 1
GB/T14020-92
Φ9.50±0.05
$19 .1 ±0. 10
环架板
24 6 ± 0. 1
钢球定位器
图3软化点测定器主要零件
Φ 23 ± 0. 1
4.3.1.2钢球:直径9.5mm,重量3.5±0.05g,表面应光滑,无锈。4.3.1.3环架板与平板间距离为25.4mm,平板与烧杯底间距离为13mm,环架板至水面刻度线距离为 51 mm。
4.3.1.4环架板与平板的表面粗糙度应大于2.5,其不平直度小于0.1/100mm。4.3.1.5烧杯:容量约为800mL,直径90mm,高度不低于140mm。4.3.1.6温度计:为内标式,浸没高度55mm,尾长100mm,刻度范围30~100℃,最小分度为0.2℃。4.3.1.7带柄瓷埚:50mL。
4.3.1.8秒表:最小分度为0.2s。4.3.2测定方法
取粉碎至直径约5mm的试样约5g于瓷埚中,慢慢加热在尽可能低的温度下熔融,避免产生气泡和发烟。将熔融的试样立即注入已平放在铜片上预热过的圆环中,待试样完全凝固,轻轻移去铜片。环275
正代控
还我行免带
GB/T 14020-92
内应充满试样,表面稍有凸起。用电熨斗将表面烫平后,备作检验。如环内试样有凹陷或气泡、裂纹等情况应重新制作。
将装好试样的圆环放在环架板上,把钢球定位器装在圆环上,再把钢球放入钢球定位器中心,然后将环架放入800mL烧杯内,并往烧杯中倾入新煮沸并冷却至35℃以下的水至水面刻度线,再从杯架顶盖插入温度计,使水银球底部与圆环底面在同一平面上。整个装置完成后,放置10min,用可调节的电炉或其他热源加热,使水温每分钟升高5土0.5℃,并不断地上下搅拌,使水温均匀上升,直至测定完毕。当包着钢球的氢化松香落至平板时,读取的温度数即为氢化松香的软化点。4.3.3重复性
同一试样的两次平行试验结果允许相差0.4℃,以算术平均值表示,报告至小数点后第一位。4.4乙醇不溶物含量的测定
4.4.1仪器
4.4.1.14号玻璃砂芯埚,30mL。4.4.1.2抽滤瓶,500mL。
4.4.1.3烧杯,250mL、150mL。
4.4.1.4量简,100mL。
4.4.2试剂
工业乙醇,乙醇含量不低于95%,使用前用4号玻璃砂芯过滤。4.4.3测定方法
称取除去外表部分并粉碎的试样约20g(准确至0.1g)置于250mL烧杯中,加工业乙醇75mL,在水浴上加热,并用玻璃棒不断搅拌,待试样完全溶解后,用已恒重的30mL4号玻璃砂芯埚趁热抽滤。用热工业乙醇50mL分5次洗涤,若不溶物和埚壁有色渍应再用少量热工业乙醇洗涤,然后移入烘箱中,在100~105℃下烘至恒重。4.4.4结果的表示和计算
按式(2)计算乙醇不溶物含量X(%):Xz= m=m × 100
式中: mz
地和残渣的质量,g,
埚的质量,g:
-试样的质量·g。
4.4.5重复性
两次平行试验结果允许相差0.005%,以算术平均值表示,报告至小数点后第三位。4.5不皂化物含量的测定
4.5.1仪器
4.5.1.1水浴锅。
4.5.1.2分液漏斗,500mL。
4.5.1.3球形冷凝器,300mm,
4.5.1.4锥形瓶,250mL。
4.5.1.5烧杯,150mL。
4.5.1.6微量滴定管,10mL。
4.5.1.7量简,50mL。
4.5.1.8移液管,20mL。
(2)
4.5.2试剂和溶液
4.5.2.110%氢氧化钾-乙醇溶液:将氢氧化钾(GB2306)100g,溶于150mL蒸馏水中,再加95%乙276
醇(GB 679)至1000 mL,摇匀。
4.5.2.2乙醚:(HG 3—1002)。
GB/T 14020-92
4.5.2.3中性异丙醇:在异丙醇(HG3--1167)中,加入酚酸指示剂(每100mL加2滴),用0.05mol/L氢氧化钾标溶液滴定至微红色30s为止。4.5.2.40.05mol/L氢氧化钾标准溶液:以0.5mol/L氢氧化钾标准溶液(见4.2.1.2)稀释配制。4.5.3测定方法
称取除去外表部分并粉碎的试样5g土0.05g(准确至0.001g)置于250mL锥形瓶中,加入10%氢氧化钾-乙醇溶液20mL,装上回流冷凝器,置水浴上加热煮沸1.5h,并时常摇动。将锥形瓶移出水浴,使皂液自然冷却至室温,移去冷凝器,加50mL蒸馏水于锥形瓶内,并移入500mL分液漏斗(A)中,用40mL乙醚冲洗锥形瓶,同样移入分液漏斗(A)中。充分摇动、静置,使其分为两层。将下层皂液放入另一500mL分液漏斗(B)中,上层乙醚液留在原漏斗(A)中。将30mL乙醚加入分液漏斗(B)中,摇动漏斗,静置、分层。放皂液至原锥形瓶中,将乙醚液并入漏斗(A)中。把锥形瓶中皂液移入漏斗(B)中,再加入30mL乙醚,重复处理一次,弃去皂液。将第三次乙醚液也集中在漏斗(A)中,静置,弃去残存皂液,加2ml蒸馏水,轻轻回荡,等水下沉后,弃去水,再用5mL、30mL蒸馏水,以同样方法分别洗涤,弃水,最后再用30mL蒸馏水重复一次。将洗涤后的乙醚液倾入已恒重的150mL烧杯中,用15mL乙醚冲洗分液漏斗,并将洗液移入烧杯中,在水浴上蒸去乙醚。若烧杯中有小水滴则加少许无水乙醇,再在水浴上蒸干。将盛有剩余物的烧杯放入110~115℃的烘箱中烘1h,在干燥器中放置0.5h,取出称重。用15mL中性异丙醇溶解烧杯中的剩余物(必要时可微微加热,溶解后放冷),加入酚酸指示剂2滴,以0.05mol/L氢氧化钾标准溶液滴定至微红色30s不褪为止。4.5.4结果的表示和计算
按式(3)计算不皂化物含量X:(%):X, = (m== m) -V×c× 0. 304 × 100m
式中:m2--
烧杯和剩余物质量,g,
烧杯质量,g;
一试样质量,g;
V-—滴定时消耗氢氧化钾标准溶液体积,mL;氢氧化钾标准溶液的摩尔浓度,mol/L;0.304——每毫摩尔氢氧化钾溶液相当于树脂酸的质量,g。4.5.5重复性
两次平行试验结果允许相差0.2%,以算术平均值表示,报告至小数点后第一位。4.6枞酸、去氢枞酸含量的测定
4.6.1仪器
4.6.1.1紫外分光光度计。
4.6.1.2容量瓶,50mL。
4.6.2试剂
无水乙醇(GB 678)。
(3)
4.6.3测定方法
称取去除外表部分的试样约0.015g(准确至0.0001g)于洁净、干燥的50mL容量瓶中,加入少量无水乙醇使试样完全溶解后,再加无水乙醇至标线,充分摇匀待用(如需稀释可用移液管准确吸取5mL入另--50mL容量瓶中,再加乙醇至标线)。将待测液和无水乙醇分别移入二只厚度为1cm的洁净石英比色皿中,用擦镜纸将比色血外壁擦277
GB/T 14020-—92
净。放入分光光度计的吸收池内,用波长241、250、273、276nm的紫外光进行测定。4.6.4结果的表示和计算
按式(4)计算枞酸含量X(%),式(5)计算去氢枞酸含量Xs(%):E241 - E250
X,= 28 ×L
E276 - E273
X,= c1. 06 XL
分别为波长241、250、273、276nm的消光值;式中:E241、E250、E273、E276——C
-1L溶液所含样品的质量,g;
L——比色Ⅲ的厚度,cm;
4.6.5重复性
纯枞酸比吸收系数;
纯去氢枞酸比吸收系数。
枞酸含量两次平行试验结果允许相差0.05%,以算术平均值表示,报告至小数点后第二位。(4)
去氢枞酸含量两次平行试验结果允许相差0.5%,以算术平均值表示,报告至小数点后第一位。4.7氧吸收量的测定
4.7.1仪器
4.7.1.110目、20目分样筛。
4.7.1.2耐压容器。
4.7.1.3氧气瓶。
4.7.2测定方法
将除去外表部分的氢化松香研碎、过筛,取其10~20目粒度的试样10g左右于50mL已知重量的洁净烧杯中,称重(准确至0.0001g),杯上盖一多孔罩,以免试样飞出,然后放入在25士5℃条件下的耐压容器内,用氧气充压至2.1MPa,在25士5℃,保持7d,取出称重。4.7.3结果的表示和计算
按式(6)计算氧吸收量X。(%):X。 mz - m1
式中:m2——吸氧后试样和烧杯的质量,g;m --吸氧前试样和烧杯的质量,g一试样的质量,g。
4.7.4重复性
两次平行试验结果允许相差0.01%,以算术平均值表示,报告至小数点后第二位。5检验规则
5.1取样方法
氢化松香检验应在同级品中进行,试样在包装完整的桶中选取。抽样数量按表2规定。278
下减造罗网
证低行
(6)
每批氢化松香桶数
50以下
51~150
151500
5011000
GB/T 14020-
1—92
抽检数,%
不少于2桶
不少于4桶
不少于8桶
不少于20桶
取样部位需离桶壁50mm以外,氢化松香表面50mm以下,取块状试样,每桶约取200g,桶数少时可增加到400g。
在取得的试样中,选取颜色最深的作为该批测定氢化松香颜色的试样。用于测定其他指标的试样按所取试样等量混合,共取300g装入磨口暗色玻璃瓶中,用作检验。5.2氢化松香的等级评定是根据各项指标全部符合同一等级来定级,如果检验结果有一项指标不符合本标准中同一等级要求时,则降为与之相应的等级。5.3用户对氢化松香应及时验收或复检,当供需双方对产品质量发生异议时,可请国家认可的质量检验机构进行仲裁检验,所需仲裁检验费用由责任方负责。6包装、标志、运输和贮存
6.1包装
使用0.3~0.5mm厚的镀锌铁桶,每桶氢化松香净重225kg。6.2标志
包装桶上应注明:厂名或厂标、商标、产品名称、等级、生产日期、批号、毛重、净重、符合本标准号GB/T14020-~92,字体应端正、清晰、易于辨认。6.3运输和贮存
氢化松香应存放于避光、干燥、阴凉处,不可靠近热源或火源。附加说明:
本标准由中华人民共和国林业部提出。本标准由中国林业科学院林产化学工业研究所负责起草。279
示批要
水标批行资料免费等
小提示:此标准内容仅展示完整标准里的部分截取内容,若需要完整标准请到上方自行免费下载完整标准文档。
主题内容与适用范围此内容来自标准下载网
Hydrogenated rosin
本标准规定了氢化松香的技术要求、试验方法和检验规则。GB/T 14020--92
本标准适用于以脂松香为原料,在一定温度和压力下经催化剂作用,使松香内树脂酸的双部分地被氢饱和而制得的氢化松香。
氢化松香主要化学成分是二氢树脂酸,分子式为:C2oH32O2。2引用标准
GB601化学试剂
3技术要求
3.1性状
滴定分析(容量分析)用标准溶液的制备氢化松香是一种无定形的透明固体树脂。3.2项目和指标
项目和指标见表1。
玻璃色块比色
不深于罗维邦色号
酸值,mgKOH/g
软化点(环球法),℃
乙醇不溶物,%
不皂化物,%
国家技术监督局1992-12-28批准黄
示准造零
符合松香色级玻璃标准色块的要求20
1993-07-01实施
枞酸,%
去氢枞酸,%
氧吸收量\,%
注:1)根据用户需要选测。
4试验方法
GB/T 14020--92
续表1
试验中除特殊规定外,所用试剂为分析纯。4.1颜色的测定
4.1.1玻璃色块比色
4.1.1.1仪器
4.1.1.1.1松香色级玻璃标准色块。指
4.1.1.1.2目测比色盒:外形尺寸l×bXh,380mm×220mm×150mm。二级
木盒底部平行装有8W日光灯两支,两灯管中心距为60mm,灯中心轴离底板距离为20mm。盒体内壁涂无光白漆,比色口无色磨砂玻璃尺寸为60mm×40mm,用黑纸在磨砂玻璃上框出比较窗口,尺寸为45mm×22mm。比色盒附黑色梯形观察罩,尺寸上底为110mm×110mm,下底为150mm×150mm,高为250mm。装置见图1。图1目测比色盒装置图
1-—观察罩;2-—磨砂玻璃窗口*3——比色盒体,4—8W日光灯4.1.1.1.3调温电熨斗,300W。
4.1.1.2测定方法
4.1.1.2.1试样的准备
将待测的块状试样用电熨斗快速、断续地烫成边长略大于22mm的立方体。并用软纸或棉花把每272
标准搜电
GB/T 14020-92
次烫后产生的熔化试样擦净。最后用来比色的一对工作面应是光滑而平行的平面,其厚度为22mm。4.1.1.2.2定级
氢化松香颜色的等级用目视比较法将试样与松香色级玻璃标准色块进行直接比较后确定。其方法是将试样与标准块紧靠,在北方天空散射光或比色盒内白色散射光照射下同时进行比较。当出现有下列情况之,即可视为深于玻璃标准色块。a.颜色红于标准色块;
b.颜色彩度大于标准色块;
c.明度小于标准色块。
氢化松香试样比色后的颜色等级,应以浅于或等于该级玻璃标准色块来确定。4.1.2罗维邦比色
4.1.2.1仪器
罗维邦色调计。
4.1.2.2测定方法
4.1.2.2.1试样的准备
同4.1.1.2.1。
4.1.2.2.2定级
将试样放入罗维邦色调计的试样槽座上,先把色调计的黄色号调到试样标准的数值上作为基色,然后用红色色号调到相当于试样的颜色,读取的黄色和红色色号数小于或等于表1所规定的色号,则符合该级颜色的规定。
4.2酸值的测定
4.2.1试剂和溶液
4.2.1.1中性乙醇:在95%乙醇(GB679)中加入酚酥指示剂(每100mL加两滴),用氢氧化钾溶液滴定到微红色30s不褪为止。
4.2.1.20.5mo1/L氢氧化钾标准溶液:称取33g氢氧化钾(GB2306)溶于少量不含二氧化碳的蒸馏水中,再加入此蒸馏水,稀释至1000mL,摇勾。以邻苯二甲酸氢钾(GB1257)为基准,参照GB601中氢氧化钠标准溶液标定方法进行标定,准确至±0.001 mol/L。
4.2.1.31%酚酞指示剂:称取1.0g酚酸(HGB3039)溶于乙醇,并用乙醇稀释至100mL。4.2.2测定方法
称取除去外表部分并粉碎好的试样约2g(准确至0.001g)于250mL锥形瓶中,加中性乙醇50mL溶解(必要时可微微加热,使试样全部溶解后放冷),加酚酞指示剂5滴,然后用0.5mol/L氢氧化钾标准溶液滴定到微红色30s不褪为止。4.2.3结果的表示和计算
按式(1)计算酸值X,(mgKOH/g):X, = V×c× 56. 11
式中:V--滴定时消耗氢氧化钾乙醇标准溶液的体积,mL;c氢氧化钾乙醇标准溶液的摩尔浓度,mol/L;m—试样的质量·g;
56.11—--1mol/L氢氧化钾的1mL的相当量,mg。4.2.4重复性
两次平行试验结果允许相差0.5,以算术平均值表示,报告至小数点后第一位。4.3软化点的测定(环球法)
我活装
(1)
4.3.1仪器
GB/T14020—92
4.3.1.1软化点测定器:装置如图2,主要零件如图3。10
图2软化点测定器
1-温度计,2—钢球定位器;3—环:4—平板;5—定距管,6—环架板;7-钢球;8-—烧杯;9—水面刻度线?10-搅拌器274
+20 .6 ± 0. 1
417 .5 ± 0. 1
15 .88 ± 0.
419 ± 0. 1
GB/T14020-92
Φ9.50±0.05
$19 .1 ±0. 10
环架板
24 6 ± 0. 1
钢球定位器
图3软化点测定器主要零件
Φ 23 ± 0. 1
4.3.1.2钢球:直径9.5mm,重量3.5±0.05g,表面应光滑,无锈。4.3.1.3环架板与平板间距离为25.4mm,平板与烧杯底间距离为13mm,环架板至水面刻度线距离为 51 mm。
4.3.1.4环架板与平板的表面粗糙度应大于2.5,其不平直度小于0.1/100mm。4.3.1.5烧杯:容量约为800mL,直径90mm,高度不低于140mm。4.3.1.6温度计:为内标式,浸没高度55mm,尾长100mm,刻度范围30~100℃,最小分度为0.2℃。4.3.1.7带柄瓷埚:50mL。
4.3.1.8秒表:最小分度为0.2s。4.3.2测定方法
取粉碎至直径约5mm的试样约5g于瓷埚中,慢慢加热在尽可能低的温度下熔融,避免产生气泡和发烟。将熔融的试样立即注入已平放在铜片上预热过的圆环中,待试样完全凝固,轻轻移去铜片。环275
正代控
还我行免带
GB/T 14020-92
内应充满试样,表面稍有凸起。用电熨斗将表面烫平后,备作检验。如环内试样有凹陷或气泡、裂纹等情况应重新制作。
将装好试样的圆环放在环架板上,把钢球定位器装在圆环上,再把钢球放入钢球定位器中心,然后将环架放入800mL烧杯内,并往烧杯中倾入新煮沸并冷却至35℃以下的水至水面刻度线,再从杯架顶盖插入温度计,使水银球底部与圆环底面在同一平面上。整个装置完成后,放置10min,用可调节的电炉或其他热源加热,使水温每分钟升高5土0.5℃,并不断地上下搅拌,使水温均匀上升,直至测定完毕。当包着钢球的氢化松香落至平板时,读取的温度数即为氢化松香的软化点。4.3.3重复性
同一试样的两次平行试验结果允许相差0.4℃,以算术平均值表示,报告至小数点后第一位。4.4乙醇不溶物含量的测定
4.4.1仪器
4.4.1.14号玻璃砂芯埚,30mL。4.4.1.2抽滤瓶,500mL。
4.4.1.3烧杯,250mL、150mL。
4.4.1.4量简,100mL。
4.4.2试剂
工业乙醇,乙醇含量不低于95%,使用前用4号玻璃砂芯过滤。4.4.3测定方法
称取除去外表部分并粉碎的试样约20g(准确至0.1g)置于250mL烧杯中,加工业乙醇75mL,在水浴上加热,并用玻璃棒不断搅拌,待试样完全溶解后,用已恒重的30mL4号玻璃砂芯埚趁热抽滤。用热工业乙醇50mL分5次洗涤,若不溶物和埚壁有色渍应再用少量热工业乙醇洗涤,然后移入烘箱中,在100~105℃下烘至恒重。4.4.4结果的表示和计算
按式(2)计算乙醇不溶物含量X(%):Xz= m=m × 100
式中: mz
地和残渣的质量,g,
埚的质量,g:
-试样的质量·g。
4.4.5重复性
两次平行试验结果允许相差0.005%,以算术平均值表示,报告至小数点后第三位。4.5不皂化物含量的测定
4.5.1仪器
4.5.1.1水浴锅。
4.5.1.2分液漏斗,500mL。
4.5.1.3球形冷凝器,300mm,
4.5.1.4锥形瓶,250mL。
4.5.1.5烧杯,150mL。
4.5.1.6微量滴定管,10mL。
4.5.1.7量简,50mL。
4.5.1.8移液管,20mL。
(2)
4.5.2试剂和溶液
4.5.2.110%氢氧化钾-乙醇溶液:将氢氧化钾(GB2306)100g,溶于150mL蒸馏水中,再加95%乙276
醇(GB 679)至1000 mL,摇匀。
4.5.2.2乙醚:(HG 3—1002)。
GB/T 14020-92
4.5.2.3中性异丙醇:在异丙醇(HG3--1167)中,加入酚酸指示剂(每100mL加2滴),用0.05mol/L氢氧化钾标溶液滴定至微红色30s为止。4.5.2.40.05mol/L氢氧化钾标准溶液:以0.5mol/L氢氧化钾标准溶液(见4.2.1.2)稀释配制。4.5.3测定方法
称取除去外表部分并粉碎的试样5g土0.05g(准确至0.001g)置于250mL锥形瓶中,加入10%氢氧化钾-乙醇溶液20mL,装上回流冷凝器,置水浴上加热煮沸1.5h,并时常摇动。将锥形瓶移出水浴,使皂液自然冷却至室温,移去冷凝器,加50mL蒸馏水于锥形瓶内,并移入500mL分液漏斗(A)中,用40mL乙醚冲洗锥形瓶,同样移入分液漏斗(A)中。充分摇动、静置,使其分为两层。将下层皂液放入另一500mL分液漏斗(B)中,上层乙醚液留在原漏斗(A)中。将30mL乙醚加入分液漏斗(B)中,摇动漏斗,静置、分层。放皂液至原锥形瓶中,将乙醚液并入漏斗(A)中。把锥形瓶中皂液移入漏斗(B)中,再加入30mL乙醚,重复处理一次,弃去皂液。将第三次乙醚液也集中在漏斗(A)中,静置,弃去残存皂液,加2ml蒸馏水,轻轻回荡,等水下沉后,弃去水,再用5mL、30mL蒸馏水,以同样方法分别洗涤,弃水,最后再用30mL蒸馏水重复一次。将洗涤后的乙醚液倾入已恒重的150mL烧杯中,用15mL乙醚冲洗分液漏斗,并将洗液移入烧杯中,在水浴上蒸去乙醚。若烧杯中有小水滴则加少许无水乙醇,再在水浴上蒸干。将盛有剩余物的烧杯放入110~115℃的烘箱中烘1h,在干燥器中放置0.5h,取出称重。用15mL中性异丙醇溶解烧杯中的剩余物(必要时可微微加热,溶解后放冷),加入酚酸指示剂2滴,以0.05mol/L氢氧化钾标准溶液滴定至微红色30s不褪为止。4.5.4结果的表示和计算
按式(3)计算不皂化物含量X:(%):X, = (m== m) -V×c× 0. 304 × 100m
式中:m2--
烧杯和剩余物质量,g,
烧杯质量,g;
一试样质量,g;
V-—滴定时消耗氢氧化钾标准溶液体积,mL;氢氧化钾标准溶液的摩尔浓度,mol/L;0.304——每毫摩尔氢氧化钾溶液相当于树脂酸的质量,g。4.5.5重复性
两次平行试验结果允许相差0.2%,以算术平均值表示,报告至小数点后第一位。4.6枞酸、去氢枞酸含量的测定
4.6.1仪器
4.6.1.1紫外分光光度计。
4.6.1.2容量瓶,50mL。
4.6.2试剂
无水乙醇(GB 678)。
(3)
4.6.3测定方法
称取去除外表部分的试样约0.015g(准确至0.0001g)于洁净、干燥的50mL容量瓶中,加入少量无水乙醇使试样完全溶解后,再加无水乙醇至标线,充分摇匀待用(如需稀释可用移液管准确吸取5mL入另--50mL容量瓶中,再加乙醇至标线)。将待测液和无水乙醇分别移入二只厚度为1cm的洁净石英比色皿中,用擦镜纸将比色血外壁擦277
GB/T 14020-—92
净。放入分光光度计的吸收池内,用波长241、250、273、276nm的紫外光进行测定。4.6.4结果的表示和计算
按式(4)计算枞酸含量X(%),式(5)计算去氢枞酸含量Xs(%):E241 - E250
X,= 28 ×L
E276 - E273
X,= c1. 06 XL
分别为波长241、250、273、276nm的消光值;式中:E241、E250、E273、E276——C
-1L溶液所含样品的质量,g;
L——比色Ⅲ的厚度,cm;
4.6.5重复性
纯枞酸比吸收系数;
纯去氢枞酸比吸收系数。
枞酸含量两次平行试验结果允许相差0.05%,以算术平均值表示,报告至小数点后第二位。(4)
去氢枞酸含量两次平行试验结果允许相差0.5%,以算术平均值表示,报告至小数点后第一位。4.7氧吸收量的测定
4.7.1仪器
4.7.1.110目、20目分样筛。
4.7.1.2耐压容器。
4.7.1.3氧气瓶。
4.7.2测定方法
将除去外表部分的氢化松香研碎、过筛,取其10~20目粒度的试样10g左右于50mL已知重量的洁净烧杯中,称重(准确至0.0001g),杯上盖一多孔罩,以免试样飞出,然后放入在25士5℃条件下的耐压容器内,用氧气充压至2.1MPa,在25士5℃,保持7d,取出称重。4.7.3结果的表示和计算
按式(6)计算氧吸收量X。(%):X。 mz - m1
式中:m2——吸氧后试样和烧杯的质量,g;m --吸氧前试样和烧杯的质量,g一试样的质量,g。
4.7.4重复性
两次平行试验结果允许相差0.01%,以算术平均值表示,报告至小数点后第二位。5检验规则
5.1取样方法
氢化松香检验应在同级品中进行,试样在包装完整的桶中选取。抽样数量按表2规定。278
下减造罗网
证低行
(6)
每批氢化松香桶数
50以下
51~150
151500
5011000
GB/T 14020-
1—92
抽检数,%
不少于2桶
不少于4桶
不少于8桶
不少于20桶
取样部位需离桶壁50mm以外,氢化松香表面50mm以下,取块状试样,每桶约取200g,桶数少时可增加到400g。
在取得的试样中,选取颜色最深的作为该批测定氢化松香颜色的试样。用于测定其他指标的试样按所取试样等量混合,共取300g装入磨口暗色玻璃瓶中,用作检验。5.2氢化松香的等级评定是根据各项指标全部符合同一等级来定级,如果检验结果有一项指标不符合本标准中同一等级要求时,则降为与之相应的等级。5.3用户对氢化松香应及时验收或复检,当供需双方对产品质量发生异议时,可请国家认可的质量检验机构进行仲裁检验,所需仲裁检验费用由责任方负责。6包装、标志、运输和贮存
6.1包装
使用0.3~0.5mm厚的镀锌铁桶,每桶氢化松香净重225kg。6.2标志
包装桶上应注明:厂名或厂标、商标、产品名称、等级、生产日期、批号、毛重、净重、符合本标准号GB/T14020-~92,字体应端正、清晰、易于辨认。6.3运输和贮存
氢化松香应存放于避光、干燥、阴凉处,不可靠近热源或火源。附加说明:
本标准由中华人民共和国林业部提出。本标准由中国林业科学院林产化学工业研究所负责起草。279
示批要
水标批行资料免费等
小提示:此标准内容仅展示完整标准里的部分截取内容,若需要完整标准请到上方自行免费下载完整标准文档。
标准图片预览:





- 其它标准
- 上一篇: GB/T 14019-1992 木材防腐术语
- 下一篇: GB/T 14021-1992 马来松香
- 热门标准
- 国家标准(GB)
- GB/T2828.1-2012 计数抽样检验程序 第1部分:按接收质量限(AQL)检索的逐批检验抽样计划
- GB/T18204.4-2000 公共场所毛巾、床上卧具微生物检验方法细菌总数测定
- GB/T23892.3-2009 滑动轴承 稳态条件下流体动压可倾瓦块止推轴承 第3部分:可倾瓦块止推轴承计算的许用值
- GB/T11839-1989 二氧化铀芯块中硼的测定 姜黄素萃取光度法
- GB/T6122.1-2002 圆角铣刀 第1部分:型式和尺寸
- GB/T7433-1987 对称电缆载波通信系统抗无线电广播和通信干扰的指标
- GB/T21238-2007 玻璃纤维增强塑料夹砂管
- GB/T28809-2012 轨道交通 通信、信号和处理系统 信号用安全相关电子系统
- GB/T9124.1-2019 钢制管法兰 第1部分:PN 系列
- GB17945-2024 消防应急照明和疏散指示系统
- GB15603-2022 危险化学品仓库储存通则
- GB6819-1996 溶解乙炔
- GB/T9239-1988 刚性转子平衡品质 许用不平衡的确定
- GB/T15917.3-1995 金属镝及氧化镝化学分析方法 对氯苯基荧光酮--溴化十六烷基三甲基胺分光光度法测定钽量
- GB/T5738-1995 瓶装酒、饮料塑料周转箱
- 行业新闻
请牢记:“bzxz.net”即是“标准下载”四个汉字汉语拼音首字母与国际顶级域名“.net”的组合。 ©2025 标准下载网 www.bzxz.net 本站邮件:bzxznet@163.com
网站备案号:湘ICP备2025141790号-2
网站备案号:湘ICP备2025141790号-2