- 您的位置:
- 标准下载网 >>
- 标准分类 >>
- 铁路运输行业标准(TB) >>
- TB/T 1662-2013 内燃机车用橡胶接头
标准号:
TB/T 1662-2013
标准名称:
内燃机车用橡胶接头
标准类别:
铁路运输行业标准(TB)
标准状态:
现行出版语种:
简体中文下载格式:
.zip .pdf下载大小:
2.41 MB
点击下载
标准简介:
TB/T 1662-2013.Joint for diesel locomotive.
1范围
TB/T 1662规定了内燃机车用可曲挠橡胶接头(以下简称“接头")的术语和定义,分类.标记、结构及规格尺寸,技术要求,检验方法和检验规则,标志、包装.运输和储存。
TB/T 1662适用于内燃机车用以输送工作压力小于或等于1. 5 MPa流体的接头。
2规范性引用文件
下列文件对于本文件的应用是必不可少的。凡是注日期的引用文件,仅注日期的版本适用于本文件。凡是不注日期的引用文件,其最新版本(包括所有的修改单)适用于本文件。
GB/T 191包装 储运图示标志(GB/T 191- 2008 ;IS0780:1997 , MOD)
GB/T 528硫化橡 胶或热塑性橡胶拉 伸应力应变性能的测定( CB/T 528- 2009;IS0 37 :2005 ,IDT)
GB/T 532硫 化橡胶或热塑性橡胶与织物粘合强度的测定(GB/T 532 - -2008 ;ISO 36 :2005 ,IDT)
GB/T 700碳 素结构钢(GB/T 700- -2006 ;IS0630:1995 ,NEQ)
GB/T 1682硫 化橡胶低温脆性的测定单 试样法( GB/T 1682- 1994;eqv IsO 812:1991)
GB/T 1690硫化橡胶或热塑性橡胶耐液体试验方法(GB/T 1690- 2010; ISO 1817 :2005 , MOD)
GB/T 3512硫化橡 胶或热塑性橡胶热空气加速 老化和耐热试验(GB/T 3512- 2001 ;ISO 188:1998 , EQV)
CB/T 5563橡胶 和塑料软管及软管组合件静 液压试验方法(CB/T 563- 2006; IS0 1402 :1994,IDT)
GB/T6388运输包装收发货标志
GB/T 9573橡胶 、塑料软管及软管组合件尺寸测量方法(GB/T 9573- 2003; ISO 4671:1999 ,IDT)
GB/T9577橡胶和塑料软管和软管组合件标志、包装 和运输规则(GB/T 9577-2001; ISO .4671:1999 ,IDT)
部分标准内容:
中华人民共和国铁道行业标准
TB/T1662-2013
代替TB/T1662—2001
内燃机车用橡胶接头
Jointfordiesellocomotive
2013-03-13发布
2013-09-01实施
中华人民共和国铁道部发布
规范性引用文件
术语和定义
接头的分类、标记、结构及规格尺寸技术要求·
检验方法和检验规则
标志、包装、运输和储存
附录A(规范性附录)
接头位移试验方法
.............
TB/T1662-2013
+++++++.++++8
TB/T1662—2013
本标准按照GB/T1.1一2009给出的规则起草。本标准代替TB/T1662—2001,与TB/T1662—2001相比主要技术变化如下:修改了橡胶接头标记(见4.2,2001年版的4.1.2);-增加了橡胶接头的规格“公称通径125mm\的尺寸(见4.4.1中表1、4.4.3中表2)修改了橡胶接头的使用温度范围(见5.1.2,2001年版的5.1);修改了橡胶接头胶料物理机械性能热空气老化中拉伸强度变化率(见5.5.2中表,2001年版的表4);
修改了橡胶接头胶料耐油性能中拉伸强度变化率(见5.5.2中表42001年版的表。);删除了橡胶接头的螺纹连接型式(见2001年版的第4章)。本标准由铁道行业内燃机车标准化技术委员会提出并归口。本标准由中国北车集团大连机车车辆有限公司负责起草,中国北车集团大连机车研究所有限公司、铁道部标准计量研究所参加起草。本标准主要起草人:董志忠、张颖、智勇、董于美、李雪春、高俊莉。本标准所代替标准的历次版本发布情况为:-TB/T1662—1985、TB/T1662—2001。I
1范围
内燃机车用橡胶接头
TB/T1662-2013
本标准规定了内燃机车用可曲挠橡胶接头(以下简称“接头”)的术语和定义,分类、标记、结构及规格尺寸,技术要求,检验方法和检验规则,标志、包装、运输和储存。本标准适用于内燃机车用以输送工作压力小于或等于1.5MPa流体的接头2规范性引用文件
下列文件对于本文件的应用是必不可少的。凡是注日期的引用文件,仅注日期的版本适用于本文件。凡是不注日期的引用文件,其最新版本(包括所有的修改单)适用于本文件GB/T191
GB/T528
GB/T532
GB/T700
包装储运图示标志(GB/T191—2008:ISO780:1997,MOD)硫化橡胶或热塑性橡胶拉伸应力应变性能的测定(GB/T528一2009:ISO37:2005IDT)硫化橡胶或热塑性橡胶与织物粘合强度的测定(GB/T532—2008;ISO36:2005,IDT)碳素结构钢(GB/T700—2006:ISO630:1995,NEQ)GB/T1682
GB/T1690
GB/T3512
1998,EQV)
GB/T5563
GB/T6388
GB/T9573
GB/T9577
4671:1999,IDT)
硫化橡胶低温脆性的测定单试样法(GB/T1682—1994;eqvIS0812:1991)硫化橡胶或热塑性橡胶耐液体试验方法(GB/T1690—2010;IS01817:2005,MOD)硫化橡胶或热塑性橡胶热空气加速老化和耐热试验(GB/T3512—2001:IS0188:橡胶和塑料软管及软管组合件静液压试验方法(GB/T5563-—2006;IS01402:1994,IDT)运输包装收发货标志
橡胶、塑料软管及软管组合件尺寸测量方法(GB/T9573—2003;IS04671:1999,IDT)橡胶和塑料软管和软管组合件标志、包装和运输规则(GB/T9577—2001;ISOGB/T11352
GB/T13306
HG/T2185
HG/T3040
般工程用铸造碳钢件(GB/T11352—2009;MODISO3755:1991:ISO4990:2003)标牌
橡胶软管外观质量
橡胶、塑料软管和软管组合件选择、储存、使用和维修指南(HG/T3040一1988,eqvISO/DIS8331:1986)
TB/T1820—2005
机车车辆用钢丝编织胶管总成
TB/T2013内燃机车燃油橡胶软管技术条件3术语和定义
下列术语和定义适用于本文件。3.1
可曲挠橡胶接头rubber-flexiblejoint由织物增强的橡胶件与平形活接头或金属法兰组成的,用于金属管道位移补偿、隔振和输送物料的接头。3.2
axialdisplacement
轴向位移
可曲挠橡胶接头沿中轴线方向的伸长或压缩。1
TB/T1662-2013
横向位移transversedisplacement可曲挠橡胶接头与中轴线方向相垂直的面的位移。3.4
偏转角度angleofdeflection
可曲挠橡胶接头弯曲变形时,两端与中轴线形成的外夹角,偏转角度为两夹角之和。4接头的分类、标记、结构及规格尺寸4.1分类
接头按橡胶球体结构分为:
a)单球体(D);
b)双球体(S)。
接头标记由标准号、接头型式、球体结构、公称通径表示。具体标记结构如下:橡胶接头TB/T1662×
示例:
螺栓孔数
公称通径
球体结构(D表示单球,S表示双球体)接头型式(F表示法兰型接头)
橡胶接头TB/T1662FS—125一6.代表符合TB/T1662技术要求的公称通径为125mm、·栓孔为6个的双球体法兰型橡胶接头。
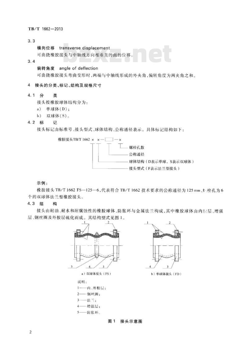
4.3结构
接头由耐油、耐水和耐腐蚀性的橡胶球体、防胀环与金属法兰构成,其中橡胶球体由内月c层、增强层、钢丝圈及外胶层硫化而成。其结构型式见图1。a)双球体接头(FS)
说明:
内、外胶层:
钢丝圈:
增强层:
防胀环。
图1接头示意图
b)单球体接头(FD)
4.4规格尺寸
双球体接头的规格尺寸应符合表1的规定。双球体接头(FS)的规格尺寸
公称通径
最小通径
法兰外径
连接螺栓
定位直艳D,
双球体接头的型式尺寸见图2。
接头总长
法兰厚度
双球体接头(FS)的尺寸示意图单球体接头的规格尺寸应符合表2的规定。表2
公称通径
最小通径
法“外径
单球体接头(FD)的规格尺寸
连接螺栓
定位直径D,免费标准下载网bzxz
接头总长
法兰厚度
胶管突出
长度c
胶管突出
长度C
TB/T1662-2013
单位为毫米
螺栓孔数
螺栓孔通径
单位为毫米
螺栓孔数
螺栓孔通径
TB/T1662—2013
4.4.4单球体接头的型式尺寸见图3。Na
单球体接头(FD)的尺寸示意图
5技术要求
5.1.1接头应按经规定程序批准的产品图样或技术文件制造,并符合本标准的规定。5.1.2对于公称通径大于或等于50mm的橡胶软管,接头两端的同轴度偏差小于或等于1mm,工作压力小于或等于1.5MPa,工作介质为内燃机车用流体,使用温度为-45℃~+124℃时,接应能正常使用。
5.2橡胶软管外观
橡胶软管的外观质量应符合HG/T2185的规定,外形尺寸应符合4.4的规定。5.3橡胶球体质量
橡胶球体外观质量应符合以下规定:5.3.1
内、外胶层不允许有起泡脱层、破裂、增强层脱层、针状、海绵状。a
内胶层不允许有杂质;外胶层杂质深度不大于0.5mm,且不多于两处,允许一次修川完善。b)
内胶层不允许有损伤;外胶层损伤深度不大于0.5mm,损伤面积不大于10mm2,1不多于两处,允许一次修理完善。
5.3.2橡胶球体两端内部钢丝圈应圆整,无明显变形及折断、错位等现象。球体的外形尺:不得影响螺栓的安装。
5.4法兰与防胀环
法兰、防胀环材料力学性能应不低于CB/T700中规定的Q235A或CB/T11352中规定EIZG230-450要求。
5.5.1接头的性能应符合表3的规定。表3接头的性能
粘附强度
压力要求(常温、水压)
胶层与增强层
增强层与增强层
静压试验
性能指标
2倍工作压力无异着现象
不低于4倍工作力
TB/T1662—2013
5.5.2接头的胶料性能应符合表4的规定。公称通径不大于38mm的橡胶接头的胶料性能按TB/T2013执行。根据运用环境要求,脆性温度可按供需双方的约定。表4接头的胶料性能
脆性温度
拉伸强度
扯断伸长率
热空气老化
(124x24h)
耐油性能
内燃机车专用机油或柴油
(124x24h)
拉伸强度变化率
扯断伸长率变化率
重量变化率
拉仲强度变化率
扯断伸长率变化率
接头的位移量及偏转角度应符合表5的规定。单位
表5接头的位移量及偏转角度
公称通径DN
单球体接头
双球体接头
65~100
125~200
50 ~80
100~150
轴向位移
横向位移
≥400
≥-15
≥-15
≥-35
偏转角度
注:接头所规定的位移量和偏转角度,是产品准许的最大位移量和偏转角度;是接头位移试验时的最大位移量和偏转角度。
按HG/T3040和GB/T9577规定,制造商应保证接头的各项技术性能符合本标准的要求。5.5.4
6检验方法和检验规则
6.1检验方法
接头外观应进行以下检查:
外形尺寸的测量按GB/T9573规定:a)
目视外观质量:
用满足要求的量具测量接头及金属配件规格尺寸。6.1.2
内部结构检验
橡胶球体内部的钢丝圈出厂时应逐个进行X光透视检验。6.1.3粘附强度
接头粘附强度试验方法按GB/T532规定。6.1.4压
接头的静压、爆破压力试验方法按GB/T5563规定。5
TB/T1662-2013
6.1.5脆性温度
接头脆性温度试验方法按GB/T1682规定。6.1.6拉伸强度
接头拉伸强度试验方法按GB/T528规定。6.1.7扯断伸长率
接头扯断伸长率试验方法按GB/T528规定。6.1.8热空气老化
接头热空气老化试验方法按GB/T3512规定。6.1.9耐油性
接头耐油性试验方法按GB/T1690规定。6.1.10
位移量及偏转角度
接头位移量及偏转角度试验方法按附录A规定。6.2检验规则
6.2.1出厂检验
出厂检验项目及要求见表6。
应对每个接头进行外观检验和静压试验。6.2.1.2
制造接头的每批胶料应进行拉伸强度、扯断伸长率性能检验。6.2.1.3
每批接头应抽取20%,进行静压试验。正常生产过程中,制造商应按产品型式检验的项目进行例行检验,每季度至少一沙表6检验项目及要求
检验项目
橡胶软管外观
橡胶球体
接头性能
橡胶性能
内部钢丝圈
粘附强度
静压试验
脆性温度
拉伸强度
扯断伸长率
热空气老化
耐油性
位移量及偏转角度要求
注:“V\是检验项口。
型式检验
技术要求
接头型式检验的项目及要求见表6。有下列情况之一者应进行型式检验:新产品试制完成时:
转厂生产的产品试制完成时;
检验方法
产品的结构、材料、工艺有较大改变,可能影响产品性能时:出厂检验
d)产品停止生产超过1年,恢复生产时;e)每生产2年或累计生产5000件时。6.2.2.3接头制造商应向试验单位提供必要的结构参数和性能参数。7
标志、包装,运输和储存
TB/T1662-2013
7.1.1每个接头应有在整个使用期内清晰可见的标牌。标牌的型式与尺寸应符合GB/T13306的规定,内容至少应包括:
a)产品名称、规格、型号:
b)产品编号;
生产日期;
制造商名称及地址(或商标代号)。7.2包
接头出厂运输时应采用专用的包装箱,包装箱内应有防水措施,包装箱外表面应按GB/T63887.2.1
和CB/T191规定,做出“防磕碰”、“防雨”、“不许倒置”等储运标志。7.2.2
包装箱上应至少标明:
收货单位及地址:
制造商名称及地址:
产品名称、数量及毛重。
包装箱内应附有下列文件:
包装者签章的装箱单,装箱单应注明产品名称、型号、数量、产品编号和生产日期;检验人员签章的产品合格证;
使用维护保养说明书。
7.3运输和储存
接头应用包装材料包装封存,保证产品运输储存过程中不受损坏。接头的运输、储存和其他要求应符合HG/T3040和GB/T9577的规定。7
TB/T1662—2013
A.1试样停放
接头硫化后停放时间不少于24h。A.2试验条件
附录A
(规范性附录)
接头位移试验方法
试验应在室温为(23±5)℃条件下进行。试样在此条件下至少放置3h才能进行试验。A.3试验设备及工具
A.3.1接头位移试验台见图A.1。说明:
导水管;
接头法兰:
调整挡板;
一接头连接螺栓:
轴向调整螺杆:
横向调整螺杆:
固定挡板;
固定螺栓。
图A.1接头位移试验装置示意图
带压力表的电动试压泵或手动试压泵。长度及角度量具。
A.4试验介质
A.5试验的准备
TB/T1662-2013
将平置的接头一端装在带排气阀的平面法兰盖上,成为自由端;另一端装在带导水管的平面法兰盖上,并与试压泵出口管相连接,然后固定在试验台上。将水充人接头内部排净空气,关闭排气阀停泵,调整接头轴向并固定自由端,沿轴向测量并记录接头初始长度。A.6轴向位移试验
A.5准备完毕后,转动螺杆5,将接头拉伸或压缩至表6规定的最小伸长量或压缩量并固定。对接头施以1.5MPa压力,保压3min,检查接头有无渗漏、开裂或异常变形等损坏现象。A.7横向位移试验
该试验可单独进行,也可在轴向位移试验结束并恢复原状后连续进行。转动螺杆6,将接头横向拉至表6规定的最小横向位移量并固定。对接头施以1.5MPa压力,保压3min,检查接头有无渗漏、开裂或异常变形等损坏现象。
A.8偏转角度试验
该试验可单独进行,也可在轴向位移和横向位移试验结束并恢复原状后连续进行。转动一侧直角挡板,将接头偏转至表6规定的最小偏转角度,对接头施以1.5MPa压力,保压3min,检查接头有无渗漏、开裂或异常变形等损坏现象。9
小提示:此标准内容仅展示完整标准里的部分截取内容,若需要完整标准请到上方自行免费下载完整标准文档。
标准图片预览:





- 热门标准
- TB铁路运输标准
- TB/T2769-2008 重型轨道车试验方法
- TB/T3015.6-2001 铁道车辆整体车轮外形尺寸检测量具技术条件轮辋宽度卡尺
- TB/T2075.4-2002 电气化铁道接触网零部件 第4部分:双横承力索线夹
- TB/T2075.54-2002 电气化铁道接触网零部件 第54部分:接地线连接线夹
- TB/T1686-2000 25t电动架车机技术条件
- TB/T3121-2005 铁路食(饮)具洁净度ATP生物发光检测法和分级判定
- TB/T2922.2-1998 铁路混凝土用骨料碱活性试验方法化学法
- TB/T2494.1-1994 轨道车辆车轴探伤方法 新制车轴超声波探伤
- TB1670.8-1985 15号车钩钩体防跳台样板
- TB/T2997.1-2000 铁路程控共线电话设备 主控机技术要求及试验方法
- TB/T3059-2009 车机联控作业
- TB/T3112.2-2017 铁路车站电码化设备 第2部分:发码、检测、调整器
- TB/T1333.3-2004 铁路应用 机车车辆电气设备 第3部分:电工器件 直流断路器规则
- TB/T2472-1993 DK.S型道口闪光器
- TB/T2152.15-1990 铁路工人技术标准 机务 内燃机钳工
- 行业新闻
网站备案号:湘ICP备2025141790号-2