- 您的位置:
- 标准下载网 >>
- 标准分类 >>
- 国家标准(GB) >>
- GB/T 14530-1993 图书用品设备 木制目录柜技术条件
- 标准号: - GB/T 14530-1993
- 标准名称: - 图书用品设备 木制目录柜技术条件
- 标准类别: - 国家标准(GB)
- 标准状态: 已作废
- 
          	发布日期: 1993-07-21
- 
		 实施日期: 1994-03-01
- 
          	作废日期: 2005-10-14
- 出版语种: 简体中文
- 下载格式: .rar.pdf
- 下载大小: 164.83 KB
- 标准ICS号: 家用和商用设备、文娱、体育>>97.140家具
- 中标分类号: 轻工、文化与生活用品>>家具>>Y81家具制品
 标准简介/下载
标准简介/下载点击下载
标准简介:
										 标准下载解压密码:www.bzxz.net
					 					 
						 
	        
	      本标准规定了木制目录柜的主要尺寸、技术要求、试验方法、检验规则和标志、包装、运输、贮存。本标准适用于放置125mm×75mm标准卡片和125mm×85mm标准导片的木制目录柜。放置其他规格卡片的木制目录柜亦应参照使用。本标准不适用于金属制目录柜。 GB/T 14530-1993 图书用品设备 木制目录柜技术条件 GB/T14530-1993
 标准内容
标准内容部分标准内容:
					
					中华人民共和国国家标准
图书用品设备
木制目录柜技术条件
Library equipment-Specification ofwooden catalog card cabinet
主题内容与适用范围
GB/T14530—93
本标准规定了木制目录柜的主要尺寸、技术要求、试验方法、检验规则和标志、包装、运输、贮存。本标准适用于放置125mm×75mm标准卡片和125mm×85mm标准导片的木制目录柜。放置其他规格卡片的木制目录柜亦应参照使用。本标准不适用于金属制目录柜。2引用标准
GB3324木家具
GB4893.4家具表面漆膜附着力交叉切割测定法GB4893.7家具表面漆膜耐冷热温差测定法GB 4893.8家具表面漆膜耐磨性测定法GB10357.4家具力学性能试验柜类稳定性GB10357.5家具力学性能试验柜类强度和耐久性3主要尺寸
3.1柜体主要尺寸
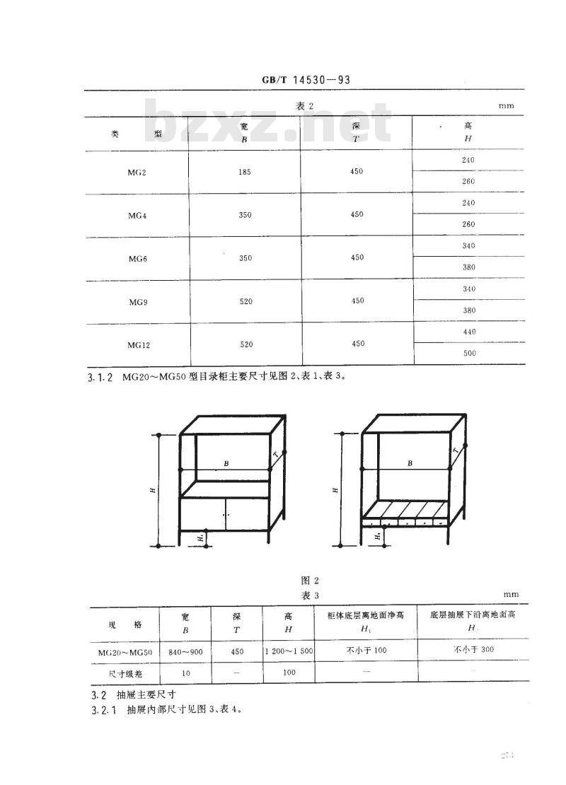
3.1.1MG2~MG12型目录柜主要尺寸见图1、表1、表2。图1
国家技术监督局1993-07-21批准1994-03-01实施
抽屉数量
GB/T14530
放在办公桌面上
使用的小型目录
着地使用的目录
柜每排五屉
GB/T14530-93
3.1.2MG20~MG50型目录柜主要尺寸见图2、表1、表3。图2
MG20~MG50
尺寸级差
840~900
3.2抽屉主要尺寸
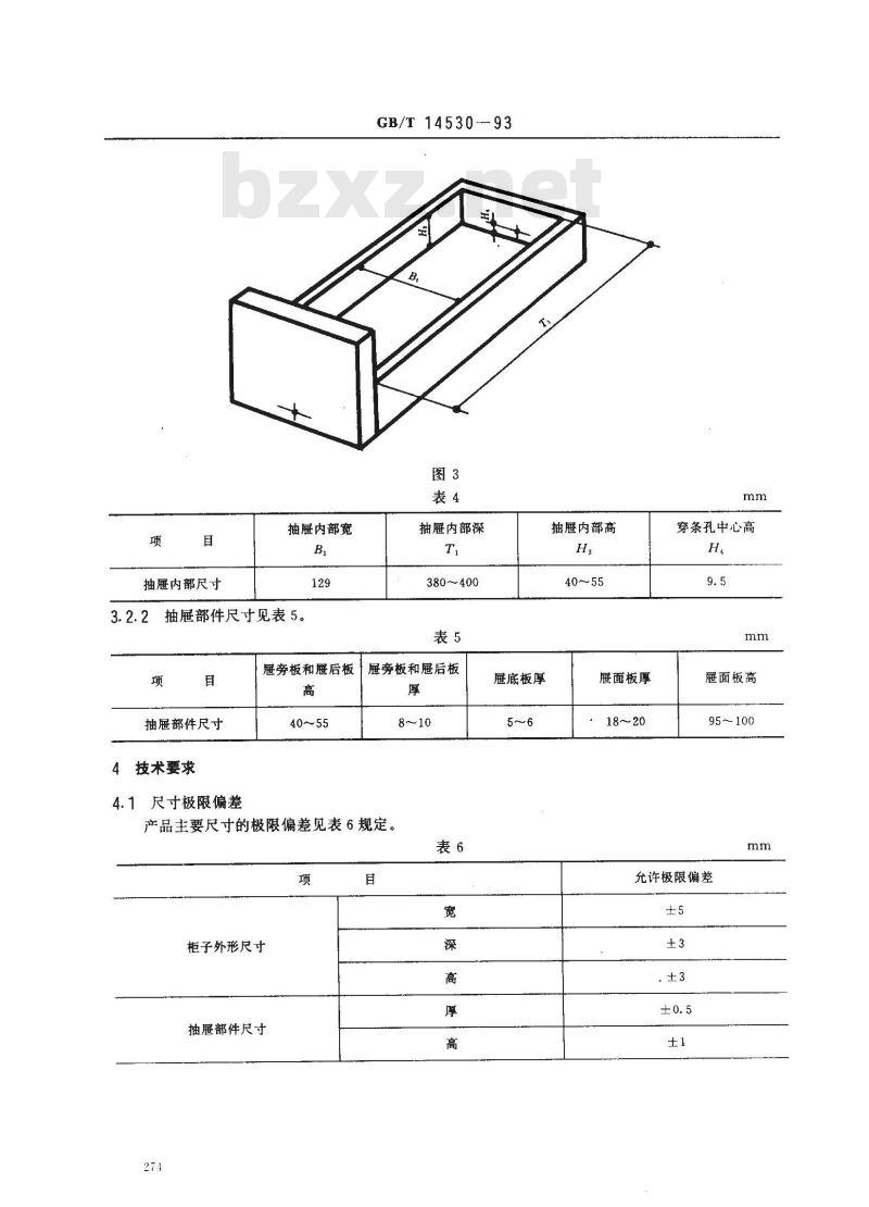
3.2.1抽展内部尺寸见图3、表4。高
1200~1500
柜体底层离地面净高
不小于100
底层抽展下沿离地面高
不小于300
抽屉内部尺寸
抽屉内部宽
抽屉部件尺寸见表5。
抽屉部件尺寸
4技术要求
4.1尺寸极限偏差
屉旁板和屉后板
GB/T14530-93
抽屉内部深
380~400
展旁板和屉后板
产品主要尺寸的极限偏差见表6规定。表6
柜子外形尺寸
抽屉部件尺寸
屉底板厚
抽屉内部高
40~~55
展面板厚
穿条孔中心高
展面板高
95~100免费标准bzxz.net
允许极限偏差
抽屉内部尺寸
4.2形状与位置公差
GB/T14530--93
续表6
穿条孔中心高
产品形状与位置公差应符合表7的规定。表7
板件翘曲度 △a
框架邻边垂直度6
板件平整度Ac
平行度Ad
4.3材料
对角线长度≥1400
700≤对角线长度<1400
对角线长度<700
对角线长度≥1000
对角线长度<1000
包镶板件
抽屉与框架(前表面)
门与框架(前表面)
上分缝
左右分缝
上分缝
中分缝
下分缝
左右分缝
4.3.1木材含水率应不大于使用地区年平均木材平衡含水率。4.3.2树种要求
允许极限偏差
允许公差
4.3.2.1同一产品框架外表用料树种的质地应相似。抽屉面板树种应单一,纹理、颜色应相似。4.3.2.2包镶板件内部衬条应使用软质树种或使用质地相似的树种。4.3.3产品零部件本材材质充许缺陷见表8规定。275
木材缺陷
抽屉面板
不允许
不允许
不允许
不允许
不允许
GB/T14530—93
允许限度
框架和抽屉旁板、后板、底板
不允许
外部不允许,内部经杀虫处理后直径3mm以下不计,3mm以上修补堵实节子直径不超过零件宽度的30%,最大直径不超过12mm,修补堵实,不影响强度和外观倾斜高×100)
斜纹程度不超过20%(斜纹程度(%)水平长度
裂缝、钝棱应修补,不影响结构强度和外观4.4.1五金配件应作防锈蚀处理。2人造板部件或包镶部件应封边处理,封边应严密,不得脱胶。4.4.2
眼结合处样和样眼均应涂胶;榉肩缝隙外表不得超过0.2mm,内部不得超过0.5mm;眼4.4.3
结合应严密、牢固,不得有断样和眼撑裂等缺陷。4.4.4抽屉部件用直角或明尾结合。舌不少于2个,间缝隙不超过0.2mm。4.4.5抽屉滑道、拦屉条安装应牢固。4.4.6抽屉、门启闭应灵活,同一产品的抽屉应具有互换性。4.4.7抽屉或框架应有防止抽屉平拉掉出的限位装置。4.4.8抽屉面板、后板、卡片挡板上应有穿条孔。穿条孔圆心位于抽屉内部宽度中心线上,且在同水平高度。穿条孔直径:面板上4~10mm,后板和卡片挡板上7mm。4.4.9卡片穿条由直径3.5mm的钢丝制成。穿条与抽屉连接时应稳固,不得松动脱开。装卸穿条时应灵活、方便。
4.5外观
4.5.1产品表面平整光滑,无裂纹、开胶、变形。涂层色泽均匀,漆膜亚光,不允许有皱皮、刷痕、鼓泡、流挂等缺陷。
4.5.2外露部件的倒棱、圆线应均匀一致。4.5.3底脚着地平稳。单脚离地缝隙不大于2mm。4.6漆膜理化性能
漆膜理化性能要求见表9规定。
试验项目
附着力
耐冷热温差
4.7产品力学性能
4.7.1强度和耐久性
试验条件
划格法,间距2mm
1000转
温度40±2℃(相对湿度98%~99%)-20±2℃
各放置1h,三周期
性能指标
不低于2级
不低于2级
漆膜无裂纹、鼓泡、脱落,允许轻微变色GB/T14530-93
柜子的抽、滑道、门、顶板、底板以及主体结构和底架应按GB10357.5表1、表2、表3要求,采用4级试验水平进行强度和耐久性试验。试验结果应符合下列要求;a.
零、部件不允许出现断裂或豁裂;b.结合部位不允许出现松动;
任何零、部件不充允许出现影响使用功能的磨损或变形;c.
d.五金连接件不允许出现松动;e.抽屉和门的启、闭应灵活。
4.7.2稳定性
4.7.2.1空载稳定性
按第5章规定的方法试验,柜子不出现倾翻趋势。4.7.2.2加载稳定性
按第5章规定的方法试验,使底脚或围板翘离地面时,加在门和抽屉上的力应分别大于100N和50N。
5试验方法
5.1尺寸偏差和形位公差
尺寸极限偏差、形状和位置公差的检验按GB3324有关规定执行。5.2材料、工艺、外观
5.2.1木材含水率采用测量精度误差不大于土1.5%的木材测湿仪测定。5.2.2树种、材质、工艺、外观的检验用目测和有关的计量器具。5.3漆膜理化性能
5.3.1附着力按GB4893.4规定执行。5.3.2耐冷热温差按GB4893.7规定执行。5.3.3耐磨按GB4893.8规定执行。5.4力学性能
5.4.1强度和耐久性试验按GB10357.5规定执行。5.4.2稳定性试验按GB10357.4要求进行。6检验规则
6.1出厂检验
每批产品出厂前应由工厂质量检验部门按4.1、4.2、4.3、4.4、4.5条逐件检验。符合本标准的为合格品,不符合本标准的应返修,返修后仍不合格的为不合格品。6.2型式检验
6.2.1有下列情况之-时,应进行型式检验:a.
新产品定型鉴定;
长期停产后,恢复生产时;
更改设计、主要原材料、关键工艺可能影响产品性能时;c.
技术检验部门认为质量不稳定以及其他特殊需要时。d.
6.2.2型式检验须在出厂检验合格的一批产品中,按5%随机抽取样本,应不少于2件。6.2.3检验项自包括第4章规定的全部内容。6.2.4检验结果全部样品符合本标准时,判该批产品合格。如有一件样品不合格,须重新加倍抽样复检,复检仍有不合格品时,则判该批产品不合格277
7标志、包装、运输、存
7.1标志
GB/T14530—93
产品出厂应有企业标记,包括厂名、厂址、商标、检验章、产品型号、出厂或生产日期。7.2包装
产品在运输过程中应加衬垫物或包装,防止碰伤和抽屉脱出。7.3运输
运输装卸应小心轻放,防止曝晒、雨淋和撞击。7.4贮存
产品贮存期间应放在通风、干燥、清洁的仓库,堆叠时应加衬垫物,防止压损。附加说明:
本标准由中华人民共和国轻工业部、文化部提出。本标准由全国家具标准化中心归口。本标准由北京图书馆负责起草。本标准主要起草人陈轩。
小提示:此标准内容仅展示完整标准里的部分截取内容,若需要完整标准请到上方自行免费下载完整标准文档。
	 
	        
	      图书用品设备
木制目录柜技术条件
Library equipment-Specification ofwooden catalog card cabinet
主题内容与适用范围
GB/T14530—93
本标准规定了木制目录柜的主要尺寸、技术要求、试验方法、检验规则和标志、包装、运输、贮存。本标准适用于放置125mm×75mm标准卡片和125mm×85mm标准导片的木制目录柜。放置其他规格卡片的木制目录柜亦应参照使用。本标准不适用于金属制目录柜。2引用标准
GB3324木家具
GB4893.4家具表面漆膜附着力交叉切割测定法GB4893.7家具表面漆膜耐冷热温差测定法GB 4893.8家具表面漆膜耐磨性测定法GB10357.4家具力学性能试验柜类稳定性GB10357.5家具力学性能试验柜类强度和耐久性3主要尺寸
3.1柜体主要尺寸
3.1.1MG2~MG12型目录柜主要尺寸见图1、表1、表2。图1
国家技术监督局1993-07-21批准1994-03-01实施
抽屉数量
GB/T14530
放在办公桌面上
使用的小型目录
着地使用的目录
柜每排五屉
GB/T14530-93
3.1.2MG20~MG50型目录柜主要尺寸见图2、表1、表3。图2
MG20~MG50
尺寸级差
840~900
3.2抽屉主要尺寸
3.2.1抽展内部尺寸见图3、表4。高
1200~1500
柜体底层离地面净高
不小于100
底层抽展下沿离地面高
不小于300
抽屉内部尺寸
抽屉内部宽
抽屉部件尺寸见表5。
抽屉部件尺寸
4技术要求
4.1尺寸极限偏差
屉旁板和屉后板
GB/T14530-93
抽屉内部深
380~400
展旁板和屉后板
产品主要尺寸的极限偏差见表6规定。表6
柜子外形尺寸
抽屉部件尺寸
屉底板厚
抽屉内部高
40~~55
展面板厚
穿条孔中心高
展面板高
95~100免费标准bzxz.net
允许极限偏差
抽屉内部尺寸
4.2形状与位置公差
GB/T14530--93
续表6
穿条孔中心高
产品形状与位置公差应符合表7的规定。表7
板件翘曲度 △a
框架邻边垂直度6
板件平整度Ac
平行度Ad
4.3材料
对角线长度≥1400
700≤对角线长度<1400
对角线长度<700
对角线长度≥1000
对角线长度<1000
包镶板件
抽屉与框架(前表面)
门与框架(前表面)
上分缝
左右分缝
上分缝
中分缝
下分缝
左右分缝
4.3.1木材含水率应不大于使用地区年平均木材平衡含水率。4.3.2树种要求
允许极限偏差
允许公差
4.3.2.1同一产品框架外表用料树种的质地应相似。抽屉面板树种应单一,纹理、颜色应相似。4.3.2.2包镶板件内部衬条应使用软质树种或使用质地相似的树种。4.3.3产品零部件本材材质充许缺陷见表8规定。275
木材缺陷
抽屉面板
不允许
不允许
不允许
不允许
不允许
GB/T14530—93
允许限度
框架和抽屉旁板、后板、底板
不允许
外部不允许,内部经杀虫处理后直径3mm以下不计,3mm以上修补堵实节子直径不超过零件宽度的30%,最大直径不超过12mm,修补堵实,不影响强度和外观倾斜高×100)
斜纹程度不超过20%(斜纹程度(%)水平长度
裂缝、钝棱应修补,不影响结构强度和外观4.4.1五金配件应作防锈蚀处理。2人造板部件或包镶部件应封边处理,封边应严密,不得脱胶。4.4.2
眼结合处样和样眼均应涂胶;榉肩缝隙外表不得超过0.2mm,内部不得超过0.5mm;眼4.4.3
结合应严密、牢固,不得有断样和眼撑裂等缺陷。4.4.4抽屉部件用直角或明尾结合。舌不少于2个,间缝隙不超过0.2mm。4.4.5抽屉滑道、拦屉条安装应牢固。4.4.6抽屉、门启闭应灵活,同一产品的抽屉应具有互换性。4.4.7抽屉或框架应有防止抽屉平拉掉出的限位装置。4.4.8抽屉面板、后板、卡片挡板上应有穿条孔。穿条孔圆心位于抽屉内部宽度中心线上,且在同水平高度。穿条孔直径:面板上4~10mm,后板和卡片挡板上7mm。4.4.9卡片穿条由直径3.5mm的钢丝制成。穿条与抽屉连接时应稳固,不得松动脱开。装卸穿条时应灵活、方便。
4.5外观
4.5.1产品表面平整光滑,无裂纹、开胶、变形。涂层色泽均匀,漆膜亚光,不允许有皱皮、刷痕、鼓泡、流挂等缺陷。
4.5.2外露部件的倒棱、圆线应均匀一致。4.5.3底脚着地平稳。单脚离地缝隙不大于2mm。4.6漆膜理化性能
漆膜理化性能要求见表9规定。
试验项目
附着力
耐冷热温差
4.7产品力学性能
4.7.1强度和耐久性
试验条件
划格法,间距2mm
1000转
温度40±2℃(相对湿度98%~99%)-20±2℃
各放置1h,三周期
性能指标
不低于2级
不低于2级
漆膜无裂纹、鼓泡、脱落,允许轻微变色GB/T14530-93
柜子的抽、滑道、门、顶板、底板以及主体结构和底架应按GB10357.5表1、表2、表3要求,采用4级试验水平进行强度和耐久性试验。试验结果应符合下列要求;a.
零、部件不允许出现断裂或豁裂;b.结合部位不允许出现松动;
任何零、部件不充允许出现影响使用功能的磨损或变形;c.
d.五金连接件不允许出现松动;e.抽屉和门的启、闭应灵活。
4.7.2稳定性
4.7.2.1空载稳定性
按第5章规定的方法试验,柜子不出现倾翻趋势。4.7.2.2加载稳定性
按第5章规定的方法试验,使底脚或围板翘离地面时,加在门和抽屉上的力应分别大于100N和50N。
5试验方法
5.1尺寸偏差和形位公差
尺寸极限偏差、形状和位置公差的检验按GB3324有关规定执行。5.2材料、工艺、外观
5.2.1木材含水率采用测量精度误差不大于土1.5%的木材测湿仪测定。5.2.2树种、材质、工艺、外观的检验用目测和有关的计量器具。5.3漆膜理化性能
5.3.1附着力按GB4893.4规定执行。5.3.2耐冷热温差按GB4893.7规定执行。5.3.3耐磨按GB4893.8规定执行。5.4力学性能
5.4.1强度和耐久性试验按GB10357.5规定执行。5.4.2稳定性试验按GB10357.4要求进行。6检验规则
6.1出厂检验
每批产品出厂前应由工厂质量检验部门按4.1、4.2、4.3、4.4、4.5条逐件检验。符合本标准的为合格品,不符合本标准的应返修,返修后仍不合格的为不合格品。6.2型式检验
6.2.1有下列情况之-时,应进行型式检验:a.
新产品定型鉴定;
长期停产后,恢复生产时;
更改设计、主要原材料、关键工艺可能影响产品性能时;c.
技术检验部门认为质量不稳定以及其他特殊需要时。d.
6.2.2型式检验须在出厂检验合格的一批产品中,按5%随机抽取样本,应不少于2件。6.2.3检验项自包括第4章规定的全部内容。6.2.4检验结果全部样品符合本标准时,判该批产品合格。如有一件样品不合格,须重新加倍抽样复检,复检仍有不合格品时,则判该批产品不合格277
7标志、包装、运输、存
7.1标志
GB/T14530—93
产品出厂应有企业标记,包括厂名、厂址、商标、检验章、产品型号、出厂或生产日期。7.2包装
产品在运输过程中应加衬垫物或包装,防止碰伤和抽屉脱出。7.3运输
运输装卸应小心轻放,防止曝晒、雨淋和撞击。7.4贮存
产品贮存期间应放在通风、干燥、清洁的仓库,堆叠时应加衬垫物,防止压损。附加说明:
本标准由中华人民共和国轻工业部、文化部提出。本标准由全国家具标准化中心归口。本标准由北京图书馆负责起草。本标准主要起草人陈轩。
小提示:此标准内容仅展示完整标准里的部分截取内容,若需要完整标准请到上方自行免费下载完整标准文档。
 标准图片预览
标准图片预览 标准图片预览:





- 其它标准
- 热门标准
- 国家标准(GB)
- GB/T21666-2008 尿吸收辅助器具 评价的一般指南
- GB/T2828.1-2012 计数抽样检验程序 第1部分:按接收质量限(AQL)检索的逐批检验抽样计划
- GB/T32999-2016 表面化学分析 深度剖析 用机械轮廓仪栅网复型法测量溅射速率
- GB/T39454-2020 国际贸易业务数据规范货物跟踪与追溯
- GB/T13589-2007 锌及锌合金废料
- GB28355-2012 食品添加剂 水杨酸甲酯(柳酸甲酯)
- GB/T38948-2020 沥青混合料低温抗裂性能评价方法
- GB/T38604.4-2020 公共信息导向系统 评价要求 第4部分:公共汽电车车站
- GB/T13070-1991 铀矿石中铀的测定 电位滴定法
- GB14880-2012 食品营养强化剂使用标准
- GB/T43912-2024 铸造机械 再制造 通用技术规范
- GB/T9003-1988 调音台基本特性测量方法
- GB5585.3-1985 电工用铜、铝及其合金母线 第3部分:铝母线
- GB/T19561-2004 寒地节能日光温室建造规程
- GB/T7574-1987 信息处理交换用磁带标号和文卷结构
- 行业新闻
请牢记:“bzxz.net”即是“标准下载”四个汉字汉语拼音首字母与国际顶级域名“.net”的组合。 ©2025 标准下载网 www.bzxz.net 本站邮件:bzxznet@163.com
网站备案号:湘ICP备2025141790号-2
网站备案号:湘ICP备2025141790号-2
